UTERINE CANCER

The organotypic model system has been extended to develop a model system of uterine Endometrium. Dr. Benbrook has been able to culture primary menstrual endometrial cells that all exhibit a uniform fibroblast morphology in monolayer culture, but form nonrandom arrangements of fibroblasts and epithelial cells in organotypic culture. Only single fibroblasts are visible inside the collagen and only multi-layers of epithelial cells grow on top of the collagen and in cavities formed inside the collagen. Gland formation has also been observed inside the collagen. While these cultures appear to mimic atropic endometrium, hormones are being used to stimulate these cultures into a menstrual cycle. Endometrial changes induced by oral contraceptive pills and other hormone therapies will eventually be studied. A major objective of this research is to develop a model of endometrial cancer tumorigenesis by using high levels of estrogen to stimulate hyperplasia and carcinogens to initiate and progress tumors. The molecular and cellular changes that occur in tumorigenesis and also in endometriosis are also being evaluated with this model system.

  

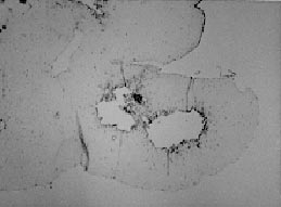
Endometric organotypic culture demonstrating cavity formation inside of the collagen. The cavity is lined with epithelium and only cells with fibroblast morphology are observed inside the collagen.
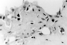
Higher magnification of the epithelium lining the cavity.
Higher magnification of a gland formed inside the collagen.

 

 

Research Objectives     Cervix Cancer     Ovarian Cancer